Рыбалка в Норвегии
-
- Активный участник форума
- Сообщения: 1619
- Зарегистрирован: 25 апр 2012, 15:06
- Реальное Имя: Andrei
- Откуда: Tallinn
- Благодарил (а): 1396 раз
- Поблагодарили: 1284 раза
Рыбалка в Норвегии
Ну а сезон рыбной ловли продолжается в Норвегии:
Тромсо, ловил с борта недалеко от главного моста - 2 небольших трески и чуть больше пол коробки
сайры.
Сейчас под Медвежьим островом - посмотрим что тут есть....
Тромсо, ловил с борта недалеко от главного моста - 2 небольших трески и чуть больше пол коробки
сайры.
Сейчас под Медвежьим островом - посмотрим что тут есть....
- Рейтинг: 10%
-
-
- Активный участник форума
- Сообщения: 1619
- Зарегистрирован: 25 апр 2012, 15:06
- Реальное Имя: Andrei
- Откуда: Tallinn
- Благодарил (а): 1396 раз
- Поблагодарили: 1284 раза
Лодка пластик 280
Пару фоток со вчерашней рыбалки....
Началось всё с мелкой трески. Фоткал и выбрасывал назад расти.
Попался на крючёк и стрёмная рыба:
Началось всё с мелкой трески. Фоткал и выбрасывал назад расти.
Попался на крючёк и стрёмная рыба:
- Рейтинг: 2%
-
-
- Активный участник форума
- Сообщения: 1619
- Зарегистрирован: 25 апр 2012, 15:06
- Реальное Имя: Andrei
- Откуда: Tallinn
- Благодарил (а): 1396 раз
- Поблагодарили: 1284 раза
Лодка пластик 280
После обеда спустили ФРСи и поехали рыбачить в фёрды. Как уже писал выше - безрезультатно 

- Рейтинг: 4%
-
-
- Активный участник форума
- Сообщения: 1619
- Зарегистрирован: 25 апр 2012, 15:06
- Реальное Имя: Andrei
- Откуда: Tallinn
- Благодарил (а): 1396 раз
- Поблагодарили: 1284 раза
Лодка пластик 280
После ужина рыбачил с борта. Пара небольших рыбок были сфотканы и отпущены.
Из больших удалось вытянуть лишь одну, да и то с последствиями - сломало удочку
Из больших удалось вытянуть лишь одну, да и то с последствиями - сломало удочку

- Рейтинг: 2%
-
-
- Активный участник форума
- Сообщения: 1619
- Зарегистрирован: 25 апр 2012, 15:06
- Реальное Имя: Andrei
- Откуда: Tallinn
- Благодарил (а): 1396 раз
- Поблагодарили: 1284 раза
Лодка пластик 280
Сегоднешний день начался с небольшой камбалы. Была отпущена.
После ужина, по старой схеме, рыбачил с борта. Удалось взять 3 рыбы. На последнем фото лежат 4 - самая маленькая была отпущена сразу после фотосессии
После ужина, по старой схеме, рыбачил с борта. Удалось взять 3 рыбы. На последнем фото лежат 4 - самая маленькая была отпущена сразу после фотосессии

- Рейтинг: 2%
-
-
- Активный участник форума
- Сообщения: 1619
- Зарегистрирован: 25 апр 2012, 15:06
- Реальное Имя: Andrei
- Откуда: Tallinn
- Благодарил (а): 1396 раз
- Поблагодарили: 1284 раза
-
- Активный участник форума
- Сообщения: 1619
- Зарегистрирован: 25 апр 2012, 15:06
- Реальное Имя: Andrei
- Откуда: Tallinn
- Благодарил (а): 1396 раз
- Поблагодарили: 1284 раза
Рыбалка в Норвегии
Давненько не отписывался, и так продолжим....
Довелось опять оказаться в Норвежских водах и половить немного рыбки
Первые дни особых результатов не дали, да и возможности как таковой не было.
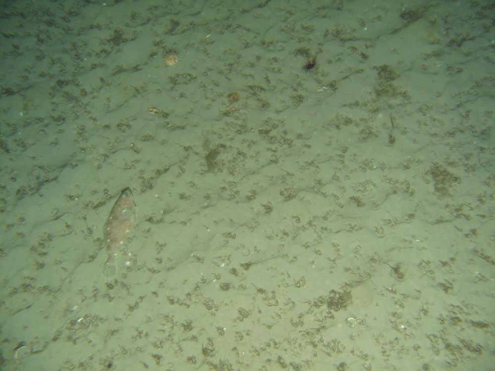
Несколько дней подряд делали пробы плотности грунта, останавливаясь на каждой станции минут по 10-15. Это были идеальные условия для рыбалки, так-как судно стояло в ДиПи и достать до дна 300-от граммовым пилкером на глубине 110 - 140 метров труда не составляло. На одной из станций села Сайра, довольно крупная. Ну, тут-то азарт и пошёл!
Каждый день пробовал рыбалить, но результата не было. В один из дней на мильтибиме увидел картинку, которая говорила лишь об одном - хватай скорее удочку и бегом на дек
И действительно, до обеда исправно ловилась скумбрия средних размеров, бывало и сразу на все 3 крючка гирлянды. Ловилась как от дна, так и в пол воды. Проскочила маленькая Пикша, но так-как была кровь - пришлось брать. Далее пошла Сайра, то-же довольно хороших размеров, в основном от дна. Удочка с катушкой на этот раз были соответствующие
На последней станции за 15 минут удалось поднять с глубины сразу 4 Сайры - одну за другой. Занятие я вам скажу выматывающее
По удачному стечению обстоятельств, сразу после этого перешли на Дроп-камеру, на этой же точке. Как видно на фото - мультибим не врал, рыбы там было действительно много.
Ну а под конец дня опустили в море уже другую "рыбу", рабочую
В завершении скажу, что вместе с пилкером на дно каждый раз опускалась и здоровенная рама (СРТ), производящая разные механические звуки тем самым отпугивая рыбу, что с большой долей вероятности повлияло на улов. Но, как говорится, не в этом счастье - удовольствия от этого дня рыбалки получил достаточно!
На этом пока всё. Продолжаю пробовать ловить, но после двухдневного кружения вокруг нас трёх рыбаков и хорошего шторма, пока всё уныло. Но мы не сдаёмся
Всем удачи!
Довелось опять оказаться в Норвежских водах и половить немного рыбки

Первые дни особых результатов не дали, да и возможности как таковой не было.
Несколько дней подряд делали пробы плотности грунта, останавливаясь на каждой станции минут по 10-15. Это были идеальные условия для рыбалки, так-как судно стояло в ДиПи и достать до дна 300-от граммовым пилкером на глубине 110 - 140 метров труда не составляло. На одной из станций села Сайра, довольно крупная. Ну, тут-то азарт и пошёл!
Каждый день пробовал рыбалить, но результата не было. В один из дней на мильтибиме увидел картинку, которая говорила лишь об одном - хватай скорее удочку и бегом на дек


На последней станции за 15 минут удалось поднять с глубины сразу 4 Сайры - одну за другой. Занятие я вам скажу выматывающее

По удачному стечению обстоятельств, сразу после этого перешли на Дроп-камеру, на этой же точке. Как видно на фото - мультибим не врал, рыбы там было действительно много.
Ну а под конец дня опустили в море уже другую "рыбу", рабочую

В завершении скажу, что вместе с пилкером на дно каждый раз опускалась и здоровенная рама (СРТ), производящая разные механические звуки тем самым отпугивая рыбу, что с большой долей вероятности повлияло на улов. Но, как говорится, не в этом счастье - удовольствия от этого дня рыбалки получил достаточно!
На этом пока всё. Продолжаю пробовать ловить, но после двухдневного кружения вокруг нас трёх рыбаков и хорошего шторма, пока всё уныло. Но мы не сдаёмся

Всем удачи!
- Вложения
Последний раз редактировалось Andreise 25 апр 2018, 01:59, всего редактировалось 1 раз.
-
- Активный участник форума
- Сообщения: 1619
- Зарегистрирован: 25 апр 2012, 15:06
- Реальное Имя: Andrei
- Откуда: Tallinn
- Благодарил (а): 1396 раз
- Поблагодарили: 1284 раза
Рыбалка в Норвегии
Фото:
Последний раз редактировалось Andreise 25 апр 2018, 02:00, всего редактировалось 1 раз.
-
- Активный участник форума
- Сообщения: 1619
- Зарегистрирован: 25 апр 2012, 15:06
- Реальное Имя: Andrei
- Откуда: Tallinn
- Благодарил (а): 1396 раз
- Поблагодарили: 1284 раза
-
- Активный участник форума
- Сообщения: 1619
- Зарегистрирован: 25 апр 2012, 15:06
- Реальное Имя: Andrei
- Откуда: Tallinn
- Благодарил (а): 1396 раз
- Поблагодарили: 1284 раза
- Strjem
- Активный участник форума
- Сообщения: 1829
- Зарегистрирован: 12 ноя 2008, 16:39
- Реальное Имя: Вадим
- Благодарил (а): 2108 раз
- Поблагодарили: 2744 раза
Рыбалка в Норвегии
Не хотел вас огорчать, но Вы всё перепутали. Не совсем конечно всё, а одну букву, вот только на выхлопе получилась неразбериха.
Сайра относится к пелагикам и она мелкая. Живёт в тёплых водах. У Норгов же изобилует Сайда, относящаяся к тресковым.
Сайра относится к пелагикам и она мелкая. Живёт в тёплых водах. У Норгов же изобилует Сайда, относящаяся к тресковым.
-
- Активный участник форума
- Сообщения: 1619
- Зарегистрирован: 25 апр 2012, 15:06
- Реальное Имя: Andrei
- Откуда: Tallinn
- Благодарил (а): 1396 раз
- Поблагодарили: 1284 раза
-
- Активный участник форума
- Сообщения: 1619
- Зарегистрирован: 25 апр 2012, 15:06
- Реальное Имя: Andrei
- Откуда: Tallinn
- Благодарил (а): 1396 раз
- Поблагодарили: 1284 раза
Рыбалка в Норвегии
Опять Норвегия, район Кристиансунда, 100 морских миль от берега, глубина 300.
В одну из ночей вышел на палубу и закинул знакомые снасти - гирлянда из 3-х крючков и классический пилкер на 300 грамм.
До дна было недотянуться и стал искать рыбу в толще воды. Она оказалась не так глубоко - около 80-100 метров. Ну и пошла раздача
Было 2 Трипла, и 1 Квадрик или Фулл Хаус
или как правильно сказать когда на всех 4-х крючках по рыбе?! 
За 2 часа было поднято ровно 20 рыб. Размер средний - среднемелкий. Далее рыбалку пришлось прекратить так-как опустили робота и пошли по линиям.
Рыбалкой остался доволен, зуд снял
Рыбу как обычно отдал на камбуз, а пару штук филировал, засолил и повесил сушится - будет закуска к пиву!
Всем удачи на воде!
В одну из ночей вышел на палубу и закинул знакомые снасти - гирлянда из 3-х крючков и классический пилкер на 300 грамм.
До дна было недотянуться и стал искать рыбу в толще воды. Она оказалась не так глубоко - около 80-100 метров. Ну и пошла раздача

Было 2 Трипла, и 1 Квадрик или Фулл Хаус


За 2 часа было поднято ровно 20 рыб. Размер средний - среднемелкий. Далее рыбалку пришлось прекратить так-как опустили робота и пошли по линиям.
Рыбалкой остался доволен, зуд снял

Рыбу как обычно отдал на камбуз, а пару штук филировал, засолил и повесил сушится - будет закуска к пиву!

Всем удачи на воде!
Последний раз редактировалось Andreise 06 окт 2018, 19:07, всего редактировалось 1 раз.
- Рейтинг: 8%
-
-
- Активный участник форума
- Сообщения: 1619
- Зарегистрирован: 25 апр 2012, 15:06
- Реальное Имя: Andrei
- Откуда: Tallinn
- Благодарил (а): 1396 раз
- Поблагодарили: 1284 раза
-
- Активный участник форума
- Сообщения: 1619
- Зарегистрирован: 25 апр 2012, 15:06
- Реальное Имя: Andrei
- Откуда: Tallinn
- Благодарил (а): 1396 раз
- Поблагодарили: 1284 раза
Рыбалка в Норвегии
Всем привет,
На этот раз новости из Бергена - самого дождливого города Норвегии, а может и всей Европы. Погода не очень, решил сегодня от нечего делать попробовать половить рыбы. Поставил 2 донки с креветкой и взялся за спиннинг с классической оснасткой. Донки так и промолчали, на пилкер с гирляндой попались 3 рыбёхи: какая-то мелкая рыбка, мелкая сайда - забагрилась, ну и неизвестная мне пока особь с зубами напоминающими пасть судака - может кто знает что за рыба....
Все рыбы, кроме мелкой, плавают дальше. У мелкой был шанс, но на поверхности воды её настиг большой баклан....
Так-что сезон жидкой воды в этом году я открыл скромно, но необычно рано
На этот раз новости из Бергена - самого дождливого города Норвегии, а может и всей Европы. Погода не очень, решил сегодня от нечего делать попробовать половить рыбы. Поставил 2 донки с креветкой и взялся за спиннинг с классической оснасткой. Донки так и промолчали, на пилкер с гирляндой попались 3 рыбёхи: какая-то мелкая рыбка, мелкая сайда - забагрилась, ну и неизвестная мне пока особь с зубами напоминающими пасть судака - может кто знает что за рыба....
Все рыбы, кроме мелкой, плавают дальше. У мелкой был шанс, но на поверхности воды её настиг большой баклан....
Так-что сезон жидкой воды в этом году я открыл скромно, но необычно рано

- Рейтинг: 4%
-
- Strjem
- Активный участник форума
- Сообщения: 1829
- Зарегистрирован: 12 ноя 2008, 16:39
- Реальное Имя: Вадим
- Благодарил (а): 2108 раз
- Поблагодарили: 2744 раза
Рыбалка в Норвегии
Первая вероятно пикша, только маааленькая. А последняя вроде та же сайда, хотя хэ.
- Рейтинг: 2%
-
-
- Активный участник форума
- Сообщения: 1619
- Зарегистрирован: 25 апр 2012, 15:06
- Реальное Имя: Andrei
- Откуда: Tallinn
- Благодарил (а): 1396 раз
- Поблагодарили: 1284 раза
Рыбалка в Норвегии
Про первую не скажу - сложно определить так-как маленькая. Судя по первому спинному плавнику - это Пикша (Haddock)
А последняя точно не сайда - брюшной плавник во всё брюхо, хвостовой плавник прямой как у лосося, да и рот совсем другой и самое главное - зубы, у сайды их нет. Больше всего походит на Люр (Pollack)
А последняя точно не сайда - брюшной плавник во всё брюхо, хвостовой плавник прямой как у лосося, да и рот совсем другой и самое главное - зубы, у сайды их нет. Больше всего походит на Люр (Pollack)
-
- Активный участник форума
- Сообщения: 1619
- Зарегистрирован: 25 апр 2012, 15:06
- Реальное Имя: Andrei
- Откуда: Tallinn
- Благодарил (а): 1396 раз
- Поблагодарили: 1284 раза
Рыбалка в Норвегии
Берген. Кинули краболовку с борта. Насадка скумбрия и кальмар. К вечеру сидел один краб.
Последний раз редактировалось Andreise 16 янв 2019, 14:54, всего редактировалось 1 раз.
-
- Активный участник форума
- Сообщения: 1619
- Зарегистрирован: 25 апр 2012, 15:06
- Реальное Имя: Andrei
- Откуда: Tallinn
- Благодарил (а): 1396 раз
- Поблагодарили: 1284 раза
Рыбалка в Норвегии
Доложили рыбу и кальмара и кинули снова. В полночь проверили - ещё один
На суп уже хватит
Простояла ночь, пока писал, напарник поднял ещё двух 
Не уверен что это за крабы, но точно не Камчатские.



Не уверен что это за крабы, но точно не Камчатские.
- За это сообщение автора Andreise поблагодарили (всего 2):
- BrodygaSPb, vlad35634
- Рейтинг: 4%
-
-
- Похожие темы
- Ответы
- Просмотры
- Последнее сообщение
-
-
Рыбалка на Кипре
Gramzda » 10 ноя 2020, 17:44 » в форуме Рыбалка за пределами Эстонии, Латвии, Финляндии и России | Отчеты - 0 Ответы
- 12351 Просмотры
-
Последнее сообщение Gramzda
10 ноя 2020, 17:44
-
-
-
Рыбалка в Англии/Шотландии, Северное и Норвежское море.
Andreise » 02 июл 2021, 19:10 » в форуме Рыбалка за пределами Эстонии, Латвии, Финляндии и России | Отчеты - 10 Ответы
- 11899 Просмотры
-
Последнее сообщение Andreise
22 июл 2021, 20:25
-