Реки Причудья
Правила форума
Уважаемые рыбаки, Убедительная просьба:
На льду водоемов и по берегам, в Эстонии, принято не мусорить. Весь мусор после рыбалки , забираем с собой. Зарание благодарим!!!
Уважаемые рыбаки, Убедительная просьба:
На льду водоемов и по берегам, в Эстонии, принято не мусорить. Весь мусор после рыбалки , забираем с собой. Зарание благодарим!!!
- Вадим Нарва
- Клуб "Striborg"
- Сообщения: 1160
- Зарегистрирован: 07 июн 2006, 20:10
- Откуда: Нарва
- Благодарил (а): 526 раз
- Поблагодарили: 729 раз
Реки Причудья
Ну чтож, Столик, тьфу, мостик забронирован, обратной дороги нет. По традиции вывез дилетантов, которые весь год спят и видят эту весеннюю рыбалку. Отдохнули хорошо, особо не упираясь, уклейки насортировали на три решётки. Помимо уклейки подловили густёрки и голавликов со дна. Рыбка получилась на славу. Малосольная, не слишком задымлённая, Короче обалденно вкусная. Сане спасибо за гостеприимство и организацию.
- За это сообщение автора Вадим Нарва поблагодарили (всего 4):
- Stekloduv, guntars74, Борис, FINN
- Рейтинг: 8%
- Вадим Нарва
- Клуб "Striborg"
- Сообщения: 1160
- Зарегистрирован: 07 июн 2006, 20:10
- Откуда: Нарва
- Благодарил (а): 526 раз
- Поблагодарили: 729 раз
Реки Причудья
Чего то в предыдущее сообщение фотка не встала... Надеюсь, место не выдал
- Рейтинг: 10%
- FIL
- Просто Гуру
- Сообщения: 7608
- Зарегистрирован: 06 июн 2006, 08:28
- Откуда: Tallinn-Омеду
- Благодарил (а): 1 раз
- Поблагодарили: 3229 раз
Реки Причудья
Вышел на воду в 5 утра , температура -1,хорошо еще лед не тянет по речке. Температура воды еще на пару градусов упала .
Уклейка в реке еще присутствует , но ее не собирался ловить , планировал щуку , но она об этом не знала , до 8 утра и поклевки не видел , вообщем свернулся до дому .
Уклейка в реке еще присутствует , но ее не собирался ловить , планировал щуку , но она об этом не знала , до 8 утра и поклевки не видел , вообщем свернулся до дому .
- Рейтинг: 10%
- FIL
- Просто Гуру
- Сообщения: 7608
- Зарегистрирован: 06 июн 2006, 08:28
- Откуда: Tallinn-Омеду
- Благодарил (а): 1 раз
- Поблагодарили: 3229 раз
Реки Причудья
Наверно первый кто у нас ловит из подо льда 
От берега метра три лед , затем полынья с колотым льдом , пытался сделать проход с якорем и веревкой , не получилось , решил так ловить , почти по зимнему , кидаю почти в лед ,
Самое главное поклевку видел и руки рыбой пахнут .
От берега метра три лед , затем полынья с колотым льдом , пытался сделать проход с якорем и веревкой , не получилось , решил так ловить , почти по зимнему , кидаю почти в лед ,
Самое главное поклевку видел и руки рыбой пахнут .
- Рейтинг: 10%
- FIL
- Просто Гуру
- Сообщения: 7608
- Зарегистрирован: 06 июн 2006, 08:28
- Откуда: Tallinn-Омеду
- Благодарил (а): 1 раз
- Поблагодарили: 3229 раз
Реки Причудья
Лед растаял , опять летняя рыбалка .
В ожидании поклевки , одна правда было но , только пощипала.
В ожидании поклевки , одна правда было но , только пощипала.
- Рейтинг: 2%
- FIL
- Просто Гуру
- Сообщения: 7608
- Зарегистрирован: 06 июн 2006, 08:28
- Откуда: Tallinn-Омеду
- Благодарил (а): 1 раз
- Поблагодарили: 3229 раз
Реки Причудья
Наступила темнота , пришлось сходить за фонариками , так как как раз самый клев с темнотой и тишиной начался , в улове ,пара подлещиков , одна краснпоперка и плотва .
Отправлено спустя 31 секунду:
Отправлено спустя 31 секунду:
- Рейтинг: 8%
- Kelt
- Активный участник форума
- Сообщения: 1288
- Зарегистрирован: 05 июн 2006, 18:35
- Ваше Имя: Виталий
- Откуда: Нарва, Эстония
- Благодарил (а): 61 раз
- Поблагодарили: 67 раз
Реки Причудья
По такой погоде, тоже мысли зарождаются: а не посидеть ли мне на реке, вдоль тросника, на поплавок с опарышем.
- FIL
- Просто Гуру
- Сообщения: 7608
- Зарегистрирован: 06 июн 2006, 08:28
- Откуда: Tallinn-Омеду
- Благодарил (а): 1 раз
- Поблагодарили: 3229 раз
Реки Причудья
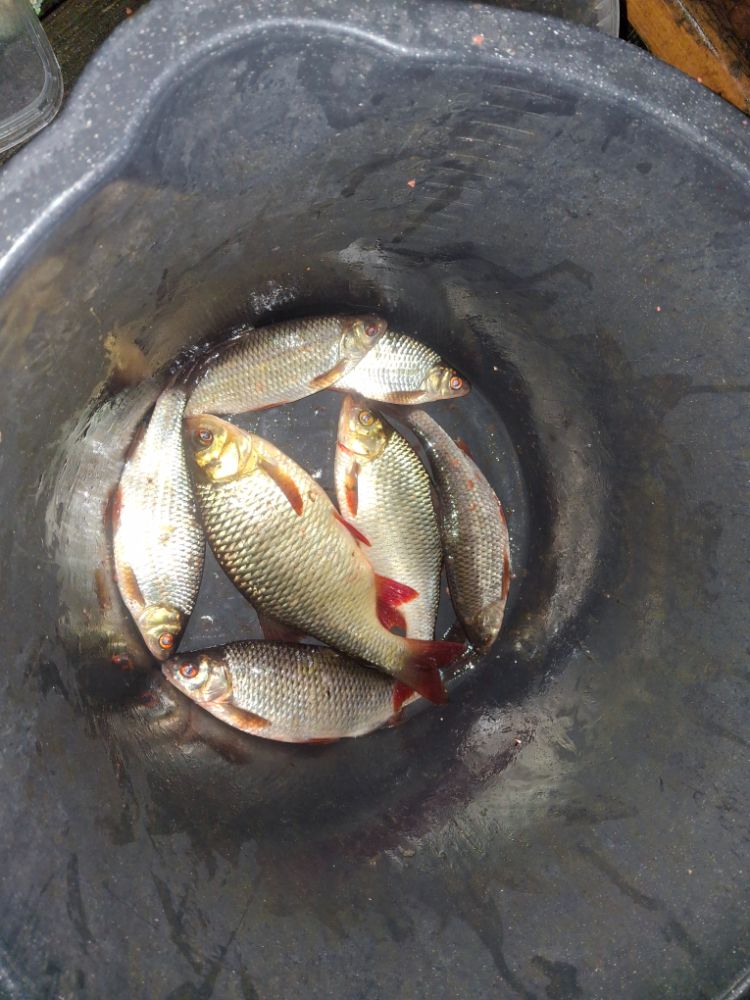
Рыбачил , вышел в семь , пока темнота была , клев был , потом в потемках запутался , оборвался , как наладился , рассвело и клев как отрубили . В обед сходил перекусить , в два опять на причале и ничего , где то с пол четвертого начался клев , река как ожила , в улове в основном красноперка , рыбу соседям отдал , да Рыжику , повыбрал плотки себе повялить , а и такой дождь начался , плюнул и в 5 свернулся .
- Рейтинг: 14%
- max67
- Ветеран Форума
- Сообщения: 2254
- Зарегистрирован: 26 июн 2007, 19:26
- Ваше Имя: Игорь
- Откуда: Tallinn
- Благодарил (а): 814 раз
- Поблагодарили: 1419 раз
Реки Причудья
Рыжика покормил?
Маловато рыбов, наверно подумал он и посмотрел на тебя прищурив глаз...
Если вообще приходил в такую пургу.
А я так и до дивана пока не дошёл, а завтра снова днюху гулять...

Маловато рыбов, наверно подумал он и посмотрел на тебя прищурив глаз...
Если вообще приходил в такую пургу.
А я так и до дивана пока не дошёл, а завтра снова днюху гулять...